- 索 引 号:QZ06101-1320-2025-00148
- 备注/文号:晋政地〔2025〕225号
- 发布机构:晋江市人民政府
- 公文生成日期:2025-05-12
晋江市土地储备中心:
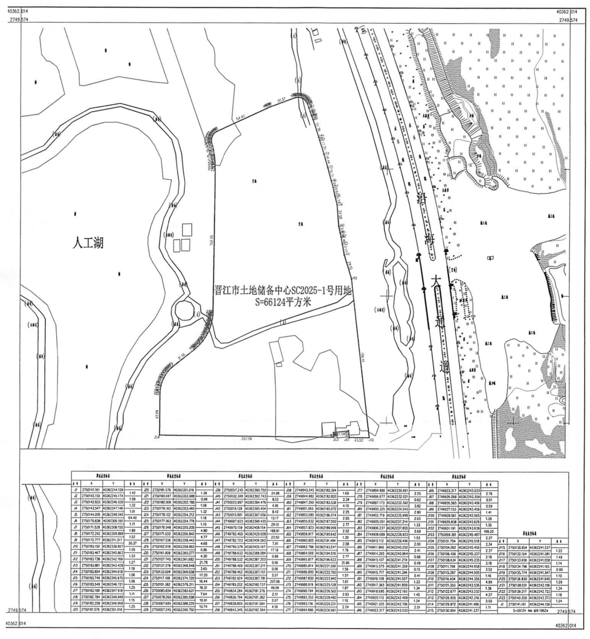
你中心《关于收储SC2025—1号用地的请示》(晋土储〔2025〕28号)收悉,经研究,同意你中心对位于陈埭镇晋东新区,面积66124平方米,用地性质为二类居住用地的SC2025—1号用地进行收储,并实施“三通一平”等前期工作,项目前期投入资金由市财政安排拨付。请按国家有关规定办理审批手续。
特此批复。
附件:晋江市土地储备中心SC2025—1号用地示意图
晋江市人民政府
2025年5月12日
(此件主动公开)
附件
晋江市土地储备中心SC2025—1号用地示意图

扫一扫在手机上查看当前页面



闽公网安备:35058202000114号
晋江政务
闽政通APP
